Realmart vastgoed - vermogensbeheer - verzekeringen
Kolonel Dusartplein 16 bus 1
3500
Hasselt
T.+32 11 93 33 10
E.info@realmart.be
Bouwgrond voor half open bebouwing
Bouwgrond voor € 125.000
Henisstraat 186,
3700
Tongeren
Bekijk op kaart
Ref: 2026/VK-005
Lot bouwgrond voor half open bebouwing.
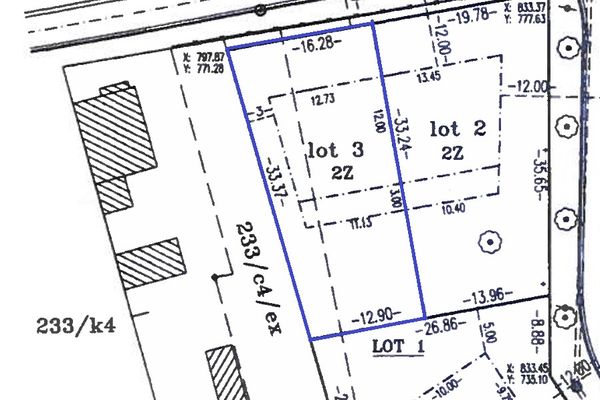
Straatbreedte van 16,28m en perceeldiepte van 33,37m.
Gevelbreedte 12,73m en bouwdiepte van 15m gelijkvloers en 12m verdieping.
4a 85ca groot.
Bouwvoorschriften volgens verkavelingsvoorschriften:
- 2 volwaardige bouwlagen
- kroonlijsthoogte 6,50m
- nok max. op 12m
- 12m uit de as van de weg
- gevelmateriaal vrij te kiezen
- dakmateriaal vrij te kiezen
Vlakbij centrum Tongeren.
Autosnelweg E313 op 10 minuten.
Straatbreedte van 16,28m en perceeldiepte van 33,37m.
Gevelbreedte 12,73m en bouwdiepte van 15m gelijkvloers en 12m verdieping.
4a 85ca groot.
Bouwvoorschriften volgens verkavelingsvoorschriften:
- 2 volwaardige bouwlagen
- kroonlijsthoogte 6,50m
- nok max. op 12m
- 12m uit de as van de weg
- gevelmateriaal vrij te kiezen
- dakmateriaal vrij te kiezen
Vlakbij centrum Tongeren.
Autosnelweg E313 op 10 minuten.
| Naam |
Berdien Vanhove
|
| GSM |
| Prijs |
€ 125.000
|
| Totale opp. grond |
485 m²
|
| Oriëntatie tuin |
West
|
| Stedenbouwkundige bestemming |
Woongebied
|
| Dagvaarding voor stedenbouwkundige overtreding |
Geen rechterlijke herstelmaatregel of bestuurlijke maatregel opgelegd
|
| Bouwvergunning |
Geen bouwvergunning
|
| Verkavelingsvergunning |
Ja
|
| Voorkooprecht |
Neen
|
| As-built attest |
Neen
|
| Beschermd erfgoed |
Niet ingegeven
|
| Renovatieplicht |
Niet ingegeven
|